Wing Earth 大規模3D点群高速編集ツール

100億点Overの大量点群を快適に編集可能

販売
Wing Earth 大規模3D点群高速編集ツール
業種 Wing Earth 大規模3D点群高速編集ツール
メーカー Wing Earth 大規模3D点群高速編集ツール
NETIS登録番号
特許番号
特徴 点群処理で最も労力を必要としてきた【手前の物体】【奥の物体】の選別、
その操作を1クリックで行える強力機能を搭載。
選んで削除、あるいはレイヤー分けなどスムーズに作業を進められます。
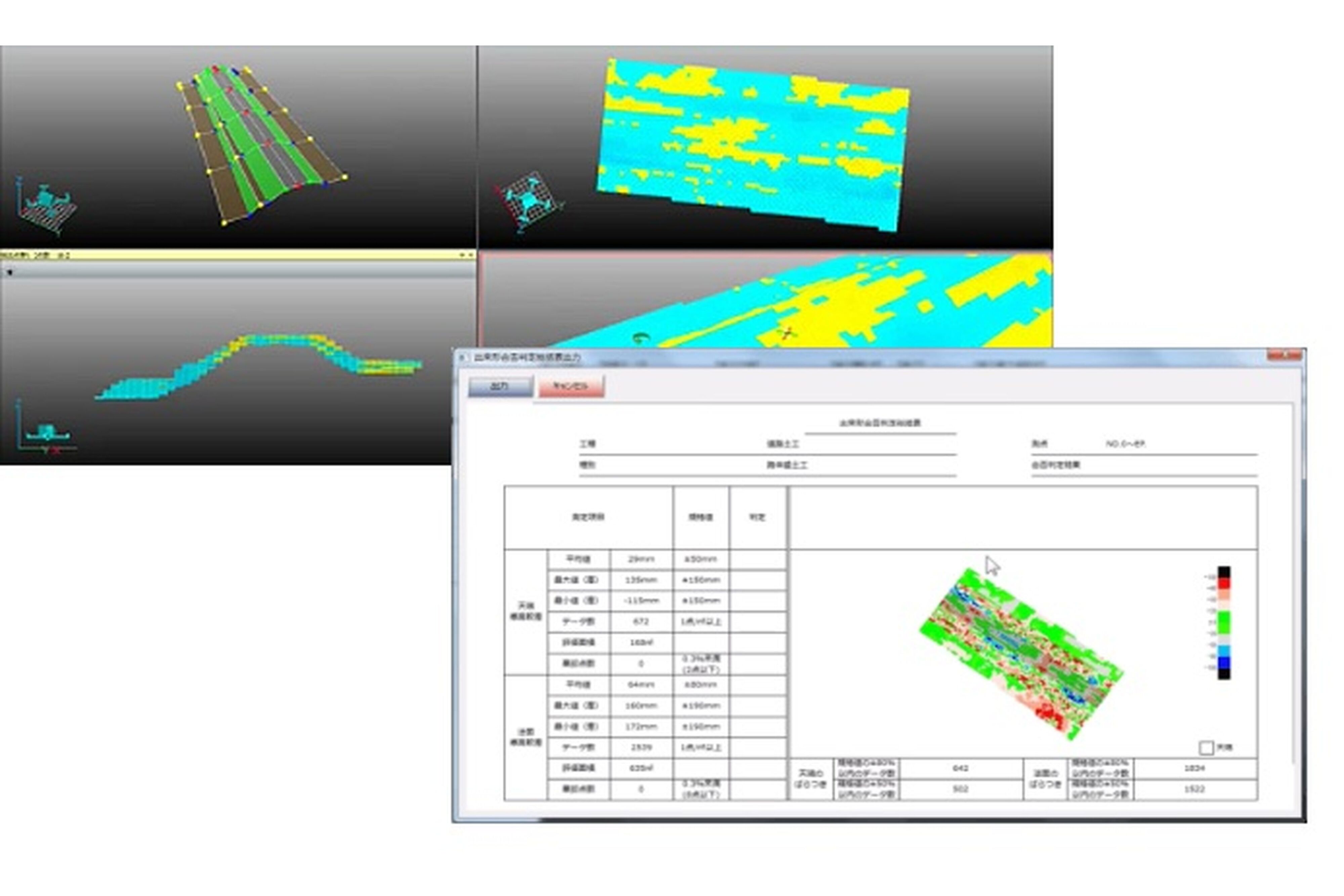
国土交通省の「空中写真測量(無人航空機)を用いた出来形管理要領(土工編(案)」
平成29年3月版と「地上型レーザースキャナーを用いた出来形管理要領(土工編)(案)」
平成29年度3月版に則った作成を行うことが可能。
・CAD描画機能
・平面素図機能
・補助点作成、点群スナップ機能
・高精細メッシュ作成機能【TINメッシュ、グリッドメッシュ、3Dメッシュ】
・縦横断作成機能
・MMSデータ取り込み、表示機能
仕様
  • 種別:専用アプリ
  • 契約:買い切り/年間保守
  • 認証方法:ネット認証
  • 対応OS:Windows® 7 Professional 64bit / Windows® 8.1 Pro 64bit
    / Windows® 10 Pro 64bit※OSのみ対応。32bit OSでは動作しません。
  • 推奨スペック:インテル® Xeon® 3.0GHz以上コア数8個以上三次キャッシュ 20MB以上
  • ビューアー数:-
この製品に関するお問い合わせ
03(3833)2016
03(3835)9273

関連する製品を見る